Der findes én gældende lokalplan for området - "Lokalplan 173 – Boligområde mellem Tyrsted og Boller Skov".
Lokalplan 173 – Boligområde mellem Tyrsted og Boller Skov
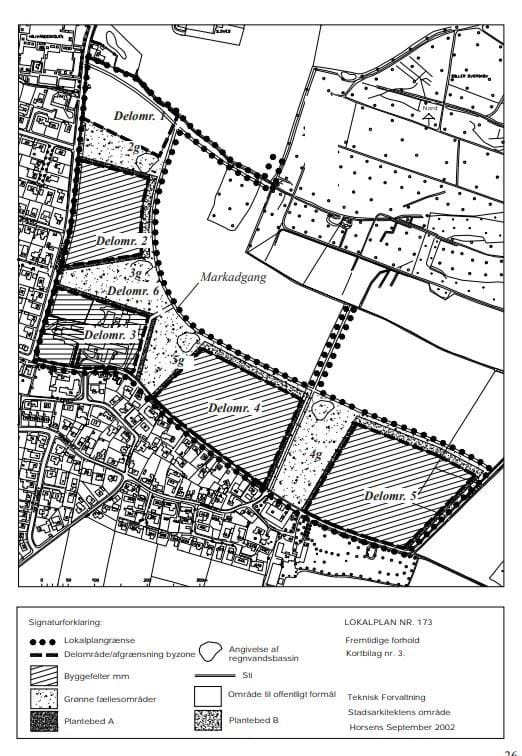
Lokalplanen, fra september 2002, udlægger de større overordnede retningslinjer for byudvikling og –omdannelse af byranden af Horsens Bylandskab ud mod Boller Skov, ved at overføre arealer fra landzone til byzone. Lokalplanen udpeger 4 boligenklaver, samt et delområde til offentlige formål. Lokalplanen giver mulighed for, at der i delområde 3, hvor Tyrstedgård lå, kan anvendes til boliger, lettere erhverv eller en børneinstitution ved omdannelse af eksisterende bygninger.
Lokalplan 173 udpeger Tyrstedgård-komplekset som værende af værdi for lokalområdet og har igennem kortbilag peget på, hvordan der bør arbejdes med bygningerne i forhold til bevaring og ny bebyggelse. Foruden bygninger, peges der også her på, at den gamle have vil have stor værdi som et grønt fællesareal.
Nærværende lokalplan er i anvendelse til boliger i delvis overensstemmelse med lokalplanen af ældre dato, der ligeledes udlægger arealet til tæt-lav beboelse. Dog forudsætter realiseringen af denne lokalplan nedrivning af de resterende bygninger, som i Lokalplan 173 er udpeget til bevaring. Yderligere stemmer det ønskede arkitektoniske udtryk ikke overens med materialer og udformning angivet i den gældende lokalplans bestemmelser.
Derfor skal Lokalplan 173 ophæves inden for nærværende lokalplans afgrænsning i forbindelse med den endelige vedtagelse af denne lokalplan.


Kort over eksisterende 'Lokalplan 173 - Boligområde mellem Tyrsted og Boller Skov'.
