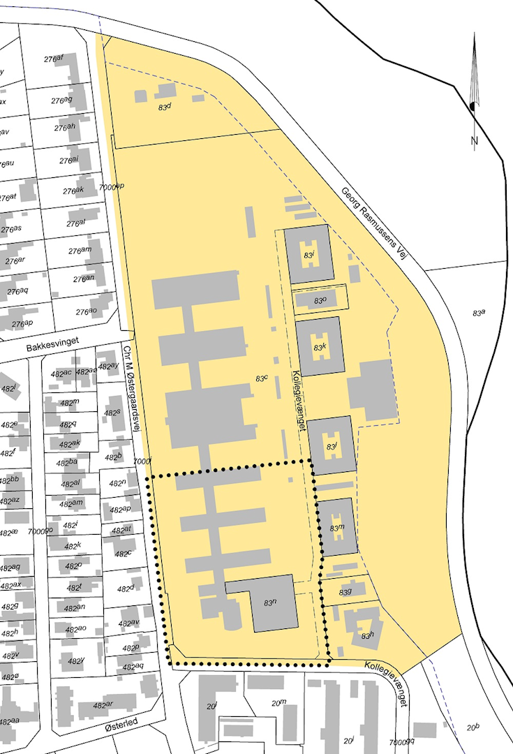
Lokalplantillægget omfatter en del af matrikelnummer 83-c Horsens Markjorder, hele matrikelnummer 83-n Horsens Markjorder samt dele af vejarealerne Chr M Østergaards Vej og Kollegievænget og har et areal på ca. 18700 m².
Lokalplanområdet i nærværende lokalplantillæg udgør hele delområde 2 af den gældende lokalplan 2017-04.
I området findes en del af det karakteristiske bygningskompleks, som tidligere har rummet campus med diverse uddannelser, men som i dag blandt andet huser Horsens Kommunes rådhus. Den del af bygningskomplekset, der ligger inden for lokalplanområdet står i dag overvejende tom.
Bygningskomplekset består af øst-vestgående 3-etagers bygninger i rød tegl, bundet sammen af en nordsydgående glasgang, der mod syd slutter i et auditorium. På matrikelnummer 83-n er der opført en 6 etagers bygning, der primært fremstår med glasfacader.
Bygningerne ligger cirka i niveau med Chr M Østergaards Vej, mens terrænspringet optages i en mur mod det lavere liggende terræn mod øst ved Kollegievænget.
De ubebyggede arealer mellem Chr M Østergaards Vej og bygningskomplekset samt syd for auditoriet er udnyttet til cykel- og bilparkering. Parkeringspladsen er beplantet med en platan for hver anden parkeringsplads og afsluttet med en bøgehæk langs vejen. Langs med Kollegievænget er der tillige parkeringspladser.
Mellem bygningsfløjene er der mod vest indrettet gårdrum i parterreniveau, mens der mod øst er grønne gårddrum på plateauet i stueplan.
1: Gårdrum i parterre mod vest. 2: Gårdrum mod øst. 3: Overdækket indgangsparti, som lokalplanen giver mulighed for at nedrive. 4: 6 etagers bygning med glasfacader. 5: Bygningskompleks i 3 etager set fra øst. 6: Mellem auditoriet og glasbygningen planlægges for fremtidig gæsteindgang.


Eksisterende Lokalplan 2017-04 (gul farve) og nærværende lokalplantillægs afgrænsning (sort priksignatur). Lokalplanafgrænsningen for nærværende lokalplantillæg er identisk med delområde 2 i lokalplan 2017-04.


